- Druh nabídky: prodej pozemků v Přerově
- Typ pozemku: Pozemky pro bydlení
- Plocha pozemku: 2899 m2
- Užitná plocha (m2): 2899
- Lokalita:
Jedná se o klidnou lokalitu na okraji obce, která je zároveň v blízkosti veškeré občanské vybavenosti.
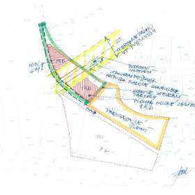
Na pozemku je ochranné pásmo plynovodu, výstavba je tak možná v prvé části, jak je uvedeno v nákresu od architekta.
Kontakt
Petr Stehlík
Další podobné inzeráty:
-
Prodej, Pozemky pro bydlení, 1108 m2
Kód zakázky: 133868, Ve výhradním zastoupení obce nabízíme k prodeji stavební pozemky v obci Dolní Nětčice (s krásným výhledem……
1 050,- Kč/m² Dolní Nětčice, okres Přerov -
Prodej stavební parcely, Polkovice
Kód zakázky: 7278, Nabízíme k prodeji atraktivní stavební pozemek o rozloze 2 790 m², situovaný v klidné části obce Polkovice v……
Polkovice, okres Přerov -
Prodej, Zahrady, 2697 m2
Kód zakázky: 133687, Ve výhradním zastoupení majitele Vám nabízíme prodej stavebního pozemku s výměrou 2. 697 m2 v Oseku nad……
1 790 000,- Kč Osek nad Bečvou, okres Přerov -
Prodej zahrady- sadu 1872m2, Soběchleby
Kód zakázky: 231856, Prodej zahrady- sadu 1 872 m2 - Soběchleby, okres PřerovIdeální pro: rodiny s dětmi, které hledají……
735 200,- Kč Soběchleby, okres Přerov -
Prodej, Zahrady, 1774 m2
Kód zakázky: 133532, Ve výhradním zastoupení majitele Vám nabízíme pozemek v Popovicích u Přerova. Popovice jsou městská část……
2 767 500,- Kč Přerov, Přerov X-Popovice -
Prodej stavebního pozemku, Polkovice
Kód zakázky: 7223, Nabízíme k prodeji velkou stavební parcelu o výměře 1 186 m², ideální pro výstavbu rodinného domu. Tento……
2 492 000,- Kč Polkovice, okres Přerov
- Prohlédněte si také inzerci nemovitostí v nejbližším okolí: pozemky Hranice, pozemky Šumperk, pozemky Jeseník, pozemky Olomouc.
- Podívejte se na další nabídky stavebních pozemků pro bydlení v Přerově: prodej stavebních pozemků pro bydlení v Přerově, pronájem stavebních pozemků pro bydlení v Přerově
- Další podobné inzeráty najdete na stránce pozemky v Přerově.
- Nenašli jste, co jste hledali? Prohlédněte si další inzeráty v rubrice pozemky, zahrady nebo v sekci Inzerce nemovitostí.




